Après avoir fait un tour plutôt orienté nord et ouest fin 2020 (vol du 08 décembre) voici une proposition de navigation sur l'Est.
Composée de branche de l'ordre de 10 à 15' à réaliser suivant les différentes techniques de nav ( capt/chrono, cheminement ou VOR), chaque pilote peut se faire une version adaptée avec bien sûr un point de départ et sens de parcours choisi (comme toujours il est recommandé d'éviter d'être tous au départ de Clermont-Ferrand).
4 points tourants sur 4 aérodromes, avec potentiellement du trafic, attention donc aux circuit et à la précision des mouvements et espacement en tour de piste. Si l'on estime à 10 min. un circuit, il faut donc prévoir 40 min en plus du temps de nav, de l'ordre de 1h15 en croisière. Et bien sûr le temps d'attente au départ de LFLC le cas échéant. Donc, au déla du devis carburant (sans difficulté avec un plein complet le cas échéant), il est clair que l'option de partir de l'un des aérodromes devient aussi intéressante de ce point de vue, d'autant que faire un TdP à Clermont-Ferrand avec ATC change d'un départ/arrivée habituelle... Subsiste juste l'exposition aux 360° ! :-)) Qui peut être contournée en faisant une micro nav dans la CTR, il y a matière à faire tout de même.
Pour les scènes, celle de LFLC par France VFR dans le pack #1 de 5 aéroports est plus que recommandée.
Flightsim.to ne propose aucune scène sur les aérodromes survolés (LFHT - LFLH - LFLZ à proxi trajectoire - LFLO - LFLV) mais deux addon "léger" pour LFLO et LFLV qui ne me semble pas nécessaire en l'état. Au pilote de vérifier ce qui est proposé et l'utiliser ou pas.
BONUS Log Nav : avec les fichiers habituels, vous trouverez un log de nav simplifié pour vous permettre de traiter la nav de manière plus réaliste encore en prenant en compte les temps de passage...Au besoin poser les questions sur l'utilisation dans le Discord (aéroclub ou French vACC en me notifiant !) Voir le vol du 11 mai 2021 où j'ai commencé à l'utiliser. A chacun de l'adaptater à sa propre navigation en fonction de son point de départ et sens de vol, celui-ci étant basé sur la nav proposée.
Les PLN/GPX...
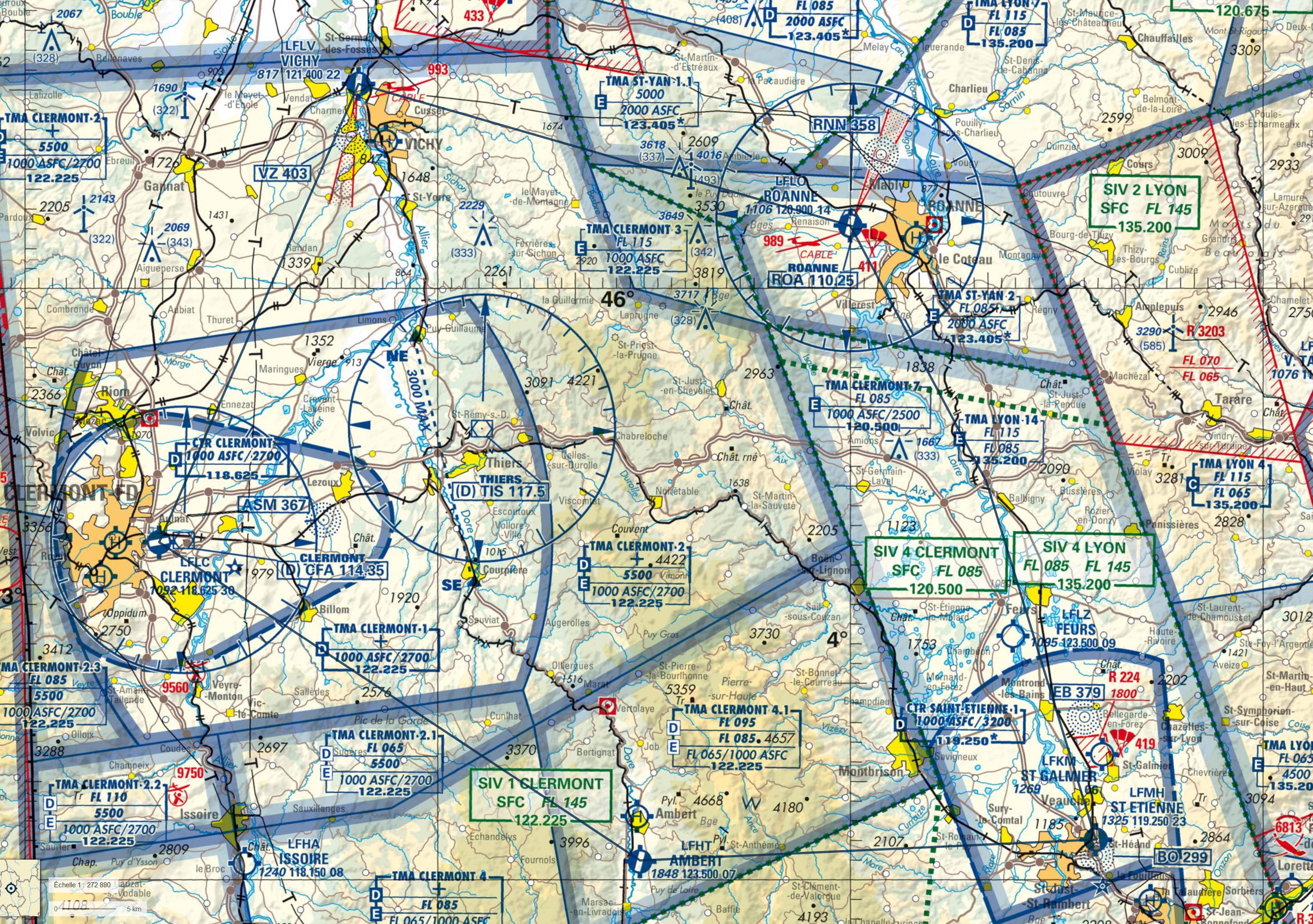
Carte topographique classique avec la base des informations pour le log de nav dans le tableau: chaque pilote l'utilise comme il souhaite.
Recommandation générales pour tous les VOLS
Sur la carte LittleNavMap, on peut discerner des points d'intérêts. Il est recommandé d'utiliser le fichier .gpx dans la carte OACI bien sûr https://www.geoportail.gouv.fr/donnees/carte-oaci-vfr mais aussi sur l'une des couches plus précises pour repérer les POI ou détails de reliefs.
La version pdf des légendes utilisées sur la carte OACI.
Visuel sur la carte de France pour situer la navigation
Zone de couverture ATC pour le vol
Pour les pilotes sous FSX/P3D avec les scènes France VFR
Nous voilà donc en MTO réelle, bien dégagée pour le moment, sur le tarmac de cette immense plateforme, le log de Nav à l'écran, prêt à partir.. et à me perdre dès la première branche !! Voilà ce qu'il en coûte de mal lire le log, ce qui est un comble :-)))
Cela étant, comme j'aime dire, se perdre est toujours une bonne chose (dans le simu) car cela oblige à s'adapter et à se retrouver, ce qui donne encore plus d'intérêt au vol. C'est vrai qu'il peut aussi être dommage de rate un site intéressant. Autre point très intéressant : voler avec un copilote connaissant parfaitement la région, n'est-ce pas Jp ?! ;-)
La météo a été très bonne sur les 2/3 ou 3/4 du vol, le reste s'est fait sous une imposante couche nuageuse, compliquant de fait un peu la reconnaissance au sol : pas facile de voir une ville dans l'ombre (il faudra voir à améliorer la texture des nuages tout de même). Et comme je me suis "égaré" (après un passage en drone) le jeu n'était que plus drôle. L'occasion de découvrir un autre piège : les feux fixes, peuvent ne pas venir d'un avion en vol. Cela n'a prêté trop à conséquence, mais cela m'a un peu berné aussi.
La TWR de Clermont a pu être ouverte, le vol n'en était donc que plus agréable ! Merci à Nicolas. Tiens d'ailleurs, pour finir en beauté, il m'a proposé une approche sur une Base directe : eh bien ce n'est pas aussi simple que ça. Donc on a profité du vol jusqu'à la dernière minute, si on peut dire.
0:00:00 intro et briefing
0:09:50 ambiance TWR sur LFLC / visite scène France VFR
0:17:20 en fréquence ATC / roulage et vues terrain encore
0:29:30 décollage
0:43:00 grosse dérive ! :-))
0:48:00 proxi Ambert LFHT ... décollage calamiteux !
1:01:00 arrivée Ouest St Etienne LFMH
1:13:00 Point tournant A89
1:20:30 visuel probable terrain Roanne LFLO
1:36:00 Vichy LFLV pas bien loin
1:40:00 vent traversier très intéressant / visuel & proxi F-ES !!
1:44:30 arrêt prudence sur piste et décollage
1:49:00 retour sur LFLC TWR
1:55:45 autorisé en base 26
2:02:00 roulage
2:06:30 débriefing
2:10:15 FIN







